Хвост у кошек – одна из важнейших частей позвоночного столба. Любые отклонения в состоянии здоровья данного отдела указывают на проблемы в организме животного. Если у кота болит основание хвоста, то это является серьезной проблемой для всего тела. Причин для развития такого недуга множество, поэтому для скорого выздоровления любимого питомца требуется обращаться в ветеринарную клинику, проходить диагностику и проводить лечебные процедуры. Заболевание хвостовой части может привести к необратимым последствиям, мутации, летальному исходу.
Причины болезненности
Среди самых распространенных причин находятся следующие факторы:
- Переломы, травмы, ушибы. Неудачное падение, драки с другими особями, попадание в ДТП приводят к различным травмам позвоночного столба. Если животное пострадало в подобных ситуациях, требуется незамедлительное обращение в клинику. Проведение рентгена позволит определить место перелома. Оперативная помощь поможет восстановить активность кошки в короткие сроки. Даже маленькая рана, полученная во время драки с котами может привести к сильной болезненности. Животное будет мучиться от дискомфорта, боли, невозможности совершать маневры во время прыжков, неудобство во время сна (котам требуется принимать наиболее безопасную позу для отдыха, поджимая хвост, а если он болит, то питомец длительное время не может устроиться для сна);
- Опухоль. Если кошка не дает трогать основание хвоста, значит данное место сильно болит. Причиной может быть развивающаяся опухоль. К сопутствующим признакам относится пассивность и вялость в поведении, во время поглаживания по спине животное издает жалобное мяуканье или наоборот, сильное шипение. Подобными звуками кошка дает понять, что рядом находится больное место;
- Врожденные патологии развития позвоночного столба. Нередки случаи, когда особь рождается с дефектами спины, отделов позвоночника. Коты с момента рождения или по достижению определенного возраста опускают хвост, поджимают его к животу, не могут поднять для совершения маневра или во время проявления эмоций. Ситуации очень часто встречаются среди неопытных заводчиков. Хозяева скрещивают несовместимые породы, что приводит к мутации позвоночника, мышечной ткани, и даже разрыву связок. Если связочный аппарат повреждается, то кошка испытывает сильную боль. В ветеринарном учреждении животному накладывают специальный бандаж минимум на один год для возвращения возможности передвигаться;
- Заболевания суставов. Болезненность хвостовой части может быть по причине деформации или дегенерации суставов. В большинстве случаев является наследственным фактором. Подобные заболевания сопровождаются болью в лапах, опущением и обездвиживанием хвоста.
Симптомы
К основным признакам, когда у кошки болит возле основания хвоста, относятся следующие аспекты:
- при переломе хвостовой отдел позвоночника всегда опущен к полу, при попытке механически поднять хвост, кошка начинает сильно мяукать по причине болезненности;
- царапины, раны, кровоподтеки, ссадины, полученные во время драки не позволяют коту шевелить хвостом;
- грибковое заболевание, инфекционное заражение сопровождается выпадением шерсти в больном месте;
- если особь очень часто подвергается нападениям, то животное будет специально опускать хвост и прижимать его к туловищу. Такая поза показывает максимальную защиту. Длительное пребывание в данном положении приводит к боли у основания хвостового отдела позвоночника;
- аллергическая реакция возникает на пищевые продукты, комнатные растения, химические средства для уборки помещения;
- глистные инвазии приводят к сильному раздражению, покраснению и болезненности возле хвоста. Питомец постоянно пытается почесать пораженную область.
Методы лечения
Причин боли хвостовой части у кошек множество, самостоятельно определить точный диагноз невозможно. Требуется помощь специалистов. Своевременное лечение важного отдела позвоночника может спасти жизнь питомцу. Если кошка кричит, когда трогаешь хвост, то возможно это перелом. В этом случае после уточнения места повреждения при помощи рентгена ветеринар накладывает гипс для фиксирования кости. Ссадины, царапины и раны у основания и крупа лечатся серной мазью. Препарат приобретается в любом аптечном пункте. Аккуратно наносится на больное место. Мазь достаточно быстро затягивает раны. Очень часто у кошек диагностируются глисты. Для избавления от инвазий применяются глистогонные капли. Широко распространен Пирантел. Для поддержания общего здоровья питомца следует обогатить рацион питания витаминами и полезными веществами, укрепляющими иммунную систему.
Следует внимательно относиться к своему любимцу. Если появились проблемы с хвостовым отделом позвоночника, то лечение должно начинаться незамедлительно. Лучшим вариантом будет обращение к квалифицированному ветеринарному врачу, прохождение диагностики и назначение эффективного лечения. Здоровый питомец будет радовать хозяина длительное время.
https://youtube.com/watch?v=CNPc59-nIOs
Источник
У кота болит основание хвоста по множеству различных причин. Не стоит забывать, что хвост у любимца — это продолжение позвоночника, поэтому важно не запускать лечение четвероного члена семьи. Болезнь может распространиться и привести к ампутации хвостика или летальному исходу.
Причины боли
Если возникла травма спины, которая могла произойти во время драки с другими котами, ДТП с его участием или же при неудачном падении, то следует ограничить его активность и немедленно отвести к ветеринару. Даже небольшая рана может принести сильные мучения и болевые ощущения не только в зоне основания хвоста.
Также подобное состояние, когда у кошки болит возле хвоста, станет причиной возникновения опухоли. При этом поведение кошки станет пассивным и вялым, а во время того, как вы начнете ее гладить, она может жалобно мяукнуть, или начать шипеть. Это произойдет из-за того, что вы, возможно, задели больное место.
Есть вероятность того, что кот был уже рожден с какими-либо дефектами спины и основания хвоста. Сейчас это не редкость, ведь хладнокровное и безрассудное отношение к котам заводчиков, которые ради своей выгоды скрещивают те или иные виды разных пород, приводят к мутациям позвоночника, мышц и разрыву связок. В случае разрыва связок появляется сильная боль, которую сможет предотвратить ношение специального бандажа. Он будет фиксировать положение на протяжении года, если диагноз подтвердится.
Дискомфортные ощущения вызывают заболевание суставов. Чаще всего такая болезнь наследственная и появляются другие симптомы. Возможно, также появится боль в лапах, и хвост будет всегда опущен и неподвижен.
Сопутствующие признаки
Рассмотрим основные признаки возникновения боли возле хвоста:
- Перелом — в этом случае положение хвоста будет опущенным, а любое воздействие с вашей стороны при попытке приподнять его будет причинять животному боль.
- Рана (нарушение целостности покрова) — царапины и ссадины могут быть получены во время драки с другими котами или из-за неаккуратности и неосторожности животного.
- Потеря шерсти также может быть причиной того, что кошка не даёт трогать основание хвоста из-за возникших болей. Грибковое образование или инфекция вызывает такие симптомы.
- Страх — если кот чего-то боится или его многократно били и подвергали унижению, то хвост будет опушен, а его основание будет болеть. Поэтому каждое прикосновение к животному будет сопровождаться громкими криками и жалобным мяуканьем.
- Аллергия может возникнуть, как на корм, так и на предметы быта (чистящие средства, духи).
- Глисты — развитие в организме приведет к возникновению боли в различных участках тела, в том числе и у основания хвоста.
Определиться с диагнозом самостоятельно порой практически невозможно, даже опытный ветврач в таких случаях без соответствующих диагностических мероприятий не сможет на глаз определить заболевание, поэтому тянуть с походом к нему не стоит.
Лечение
Вовремя оказанная первая помощь любимцу может спасти ему жизнь. При переломе следует поместить кота в состояние покоя и путем аккуратной транспортировки в переноске отвезти к ветврачу. После осмотра делается рентген и выписываются нужные лекарства. В некоторых случаях накладывается гипс.
При возникновении царапин и ран или потери шерсти в зоне хвоста применяется серная мазь, которая продается в любой аптеке. Она не сушит кожу и посодействует быстрому заживлению.
Чаще всего встречающаяся проблема у домашних кошек — это глисты. Помочь их вывести смогут ангистанинные средства и правильный рацион питания с добавлением витаминов, которые не только будут благотворно влиять на здоровье, но сделают шерсть гладкой и шелковистой.
Профилактические меры
Чтобы животное было здоровым, необходимо регулярно проводить профилактические процедуры. Следует давать только качественные корма, такие как Eukanuba, Go Natural или Now Fresh. Нельзя кормить питомца тем же, что едите сами. Важно использовать только натуральные продукты и следовать определенному рациону питания. Если помимо боли возник понос, то следует напоить кошку отваром из трав (например, ромашки). Два раза в год на протяжении месяца коту необходимо давать витамины, вне зависимости от рациона и состояния здоровья.
Если кошка кричит, когда трогаешь хвост, то причиной может быть как наследственные отклонения, так и заболевания. Прежде всего, следует отвести животное к врачу, ведь в большинстве случаев, вызванные болезненные ощущения могут нанести коту непоправимый вред. Самостоятельно Вы лишь снимете боль и снизите симптомы, но полный курс лечения должен прописать врач.
https://youtube.com/watch?v=plPW77oqKPQ
Источник
Болит спина у кошки
Помогите,пожалуйста! У кошки болит спина от середины к хвосту.Даже до шерсти не дотронуться — рычит и начинает все лизать,ее просто корчит всю.А когда моется воет и плачет.Уже дней 10.Ей трудно прыгать и лазать.На коже спины перхоть,шерсть ровная,блох нет.В ветлечебнице были по вопросу перхоти месяц назад,смотрели в инфрасвете,назначили супрастин по 1/4,пили три дня,даю дрожжи с серой по 1/2 дв раза.Потому что я сама сказала,что кошка аллергичная Но тогда спина не болела.Врач очень молодая,боюсь натискает ее,а диагноз не поставит.Вряд ли это кожное,она даже зубами щелкает и шею выворачивает ,дергается как в тике,когда рука еще кожи не коснулась.Кошке 15лет,рожала,питается больше рыбой,на корма часто сыпь по шее и спине.Что это может быть,какие обследования нужны.Это просто жуть.
04 ноября 2010, 22:54
Москва
Был в сети: 28 мая, 19:30
Вариантов туча:/rn/
1) Заболевание позвоночника. Рентген./rn/
2) Заболевание внутренних органов (очень похоже для такого возраста и такого «разнообразного» питания). Биохимия крови/rn/
3) Авитаминоз. Опять же биохимия, токько более подробная./rn/
4) Паразитарные и/или грибковые заболевания. Соскоб кожи с микроскопией. Подробный.
04 ноября 2010, 23:15
Москва
Был в сети: 06 декабря, 21:43
Жуть так кормить животное. /rn/
Срочно узи органов брюшной полости, обратите внимание на матку — возможно пиометра ( гнойное воспаление матки), если она, то срочно оперировать. /rn/
Сдайте анализы мочи и крови (ока и б/х с электролитами). /rn/
Выделения из влагалища есть?/rn/
Хорошо бы температуру измерить ректально, в норме 37,5-39. Если дастся конечно.
04 ноября 2010, 23:18
Пользователь
Пользователь
Добрый день!/rn/
Так может проявляться всё-таки и сильный зуд./rn/
Возможна и неврологическая патология./rn/
В принципе такую кошку, конечно, нужно обследовать всесторонне, иногда симптомы сглажены, а беспокойство животного проявляется по-разному.
05 ноября 2010, 00:55
Большое спасибо за ответы! Завтра поедем на прием.Выделений у нее нет,а температуру не даст измерить.Сиамка она злющая и умнющая.А рыбу она сама требует,витамины периодически туда подмешиваю,мясо не любит…Вот неврологическая патология видимо самое то,но обследуемся по всем направлениям.
08 ноября 2010, 17:07
Москва
Был в сети: 06 декабря, 21:43
Многие дети тебуют чипсов и макдональдс… Это не значит, что кошку нужно кормить тем, что она требует. /rn/
Возьмите с собой мочу, она должна быть свежая, не позднее 2 часов отстоя в холодильнике. И сдайте все анализы и узи. /rn/
Не пожалеете.
08 ноября 2010, 17:46
Были у врача.Температура в норме.Назначили канторен 1,0+травматин 1,0 в одном шприце 1раз в день 7 дней,но-шпу по 0,5 2раза 3 дня,ципролет по 1/4табл. 2 раза 5дней.Узи по записи и подозрение сах.диабет,т.к. много ест,если не ограничить,будто не помнит что уже ела.Короче,после уколов(врач сразу колола)и таблеток назавтра кисьмя моя стала грустная и писала по капле два раза за полдня.А анализы не предложили…Может после узи.
10 ноября 2010, 15:03
После курса лечения кошка стала дергать кожей на спине.Не смогла бездействовать в выходные,всей семьей просто состригли бедняге шерсть на спине.По хребту ближе к хвосту пятно розовое мокнущее 4см на 1см примерно,посыпано густо черными крупинками.Очень локально,рядом все чисто.И нашла блоху вялую.Вымыла срочно чем было под рукой(мыло дегтярное,ванна с чередой),кожа яркой полосой без ранок,смазала пока синтомицинкой.Неужто так от блох(больше не нашла их визуально)?Как обработать теперь? у нее сразу сыпь на ошейники,растворы,но из двух зол надо выбрать.На спинку раненую не капнешь.И чем помазать.Нашим врачам не верю,час мучили…
14 ноября 2010, 13:06
Да,еще не написала: шерсть на месте,не выпадает,кошка не чешется,при прикосновении явно сильная боль.
14 ноября 2010, 13:11
Пользователь
Пользователь
Сфотографируйте и проконсультируйтесь в разделе дерматолога./rn/
Вероятно, причина изначально была в беспокойстве от этого очага.
14 ноября 2010, 15:18
Большое спасибо!Уходим к дерматологам! Но ей уже легче,дает мазать спинку.Всем удачи,пусть все болячки окажутся пустяшными!
14 ноября 2010, 20:12
Только зарегистрированные пользователи имеют возможность начинать новые темы. Зарегистрируйтесь и войдите на сайт, введя свои логин и пароль справа в окне, и Вы сможете начать новую тему.
Источник
Для многих людей слово «кошка» является синонимом красоты и грациозности. И это вполне оправдано. Тем страшнее наблюдать за котом, который не может встать или ходит странной, «деревянной» походной, часто и хрипло мяукающим от боли. Виной такого поведения могут быть разнообразные болезни позвоночника у кошек. Некоторые их разновидности будут нами рассмотрены на страницах этой статьи. Сразу отметим, что в рамках данного материала будут рассмотрены не только поражения непосредственно позвонков, но всего позвоночника (то есть межпозвоночных дисков, спинного мозга и т.д.).
Миелопатии
Миелопатия – собирательное понятие. Сюда относятся практически все болезни, так или иначе приводящие к морфофункциональным нарушениям в спинном мозге. В зависимости от локализации поражения и запущенности случая, признаки могут варьировать от легкого пареза или болевых ощущений до полного паралича. Парез или паралич могут поразить все четыре лапы (тетраплегия), задние конечности (параплегия), передние конечности (гемиплегия), или всего одну конечность (моноплегия). Как проявляются миелопатии различных этиологий? Клинические признаки включают:
- Нескоординированные движения, атаксия.
- Снижение мышечной массы, пусть даже питается животное нормально.
- Понижение тонуса мускулатуры.
- Напротив, в иных случаях можно наблюдать постоянное мышечное напряжение (гипертонус).
- Проблемы с дефекацией и мочеиспусканием (непроизвольное выделение кала и мочи).
Рассмотрим основные предрасполагающие факторы, которые чаще всего способствуют развитию миелопатии. Во-первых, это неблагоприятная наследственность. Сегодня практически все ветеринары считают, что некоторые породы (персы, сиамские кошки, их помеси) имеют много дефектных генов, которые особенно ярко проявляются в отдельных семействах. Таких животных настоятельно рекомендуется стерилизовать и полностью исключать из воспроизводства.
Очень опасны ишемические поражения спинного мозга. Как и в прошлом случае, огромное значение имеет неблагоприятная наследственность. Второй причиной проблем с кровообращением являются бактериальные и вирусные инфекции, а также неконтролируемое применение некоторых лекарственных препаратов, чем грешат многие заводчики. Наиболее опасными заболеваниями являются: вирусный лейкоз кошек (FeLV) и криптококкоз, вызванный возбудителями вида Cryptococcus neoformans. Последний очень опасен еще и тем, что поражает не только спинной, но и головной мозг. Можно выделить еще две группы причин:
- Рак. Особенно часто у котов встречается лимфома, менингиомы, гистиоцитарные опухоли. При их обнаружении прогноз варьируется от сомнительного до неблагоприятного.
- Травматические миелопатии. Как правило, развиваются на фоне кусаных и колотых ран, затрагивающих область позвоночного столба, переломов и дегенеративных поражений межпозвоночных дисков.
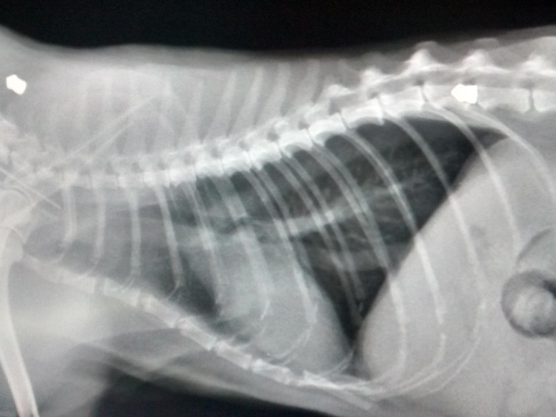
Для точной диагностики желательно провести компьютерную томографию, MRI (магнитно-резонансную томографию), а также (или хотя бы) рентгенографию позвоночного столба. Обязательно берется проба спинального ликвора (посредством пункции), так как анализ этой жидкости с высокой степенью достоверности позволяет выявлять различные виды воспалительных и инфекционных патологий.
Курс лечения будет зависеть от первопричины миелопатии. Так, при переломах и опухолях помочь может только операция, в случае инфекционных патологий назначаются антибиотики и прочие противомикробные препараты. Но не менее важен восстановительный период, который зачастую определяет, как полно восстановятся двигательные функции кота, и не будет ли патологий в его поведении.
Так как у многих кошек с поражениями спинного мозга имеются серьезные проблемы с мочеиспусканием и дефекацией, в обязанности хозяина входит массаж области мочевого пузыря и прямой кишки с последующим удалением экскрементов и мытьем загрязненных мест. Если кошка неспособна сидеть, ее нужно переворачивать не реже одного раза в шесть часов с одновременным проведением массажа. Это делается для предотвращения образования пролежней.
Физиотерапия также очень важна для надежного предотвращения дегенеративных процессов в мышцах. В любом случае, составлять план восстановительных методик должен ветеринар. Какие еще существуют заболевания позвоночника у кошек?
Грыжа межпозвоночных дисков
Пожалуй, это одно из наиболее неприятных и серьезных заболеваний позвоночника, с которым приходится сталкиваться специалистам в своей практике. Что такое межпозвоночный диск? Это такая «амортизационная подушка», расположенная между позвонками. Каждый диск состоит из наружной, грубой и волокнистой, части, а также нежного центрального ядра, которое по консистенции отдаленно напоминает зубную пасту.
Межпозвоночные диски соединяют позвоночник в единое целое и позволяют ему быть гибким. Кроме того, они же амортизируют механические нагрузки, которым постоянно подвергается позвоночный столб. В случае, когда внешняя оболочка диска по каким-то причинам истончается, внутреннее его содержимое начинает выпячиваться в спинномозговой канал, пережимая спинной мозг или, в лучшем случае, отдельные его корешки. Это чрезвычайно опасный процесс, так как кот в любой момент может остаться полностью парализованным без особых шансов на исправление ситуации.
У кошек, в отличие от собак, признаки дегенеративного поражения межпозвоночных дисков развиваются зачастую очень быстро и непредсказуемо. Сегодня ваш кот жизнерадостно носится по дому, а завтра – лежит, не в силах пошевелить ни задними лапами, ни даже хвостом. Как еще может проявляться эта патология?
У кошки с межпозвоночной дисковой дегенерацией, приведшей к образованию грыжи, отсутствует желание играть и вообще двигаться, у нее снижен аппетит, время от времени животное хрипло мяукает от боли, может наблюдаться агрессия в отношении других питомцев или даже человека. При ходьбе больная кошка часто спотыкается, иногда может наблюдаться «деревянная» походка.
Когда поражены диски шейного отдела позвоночника, у животного могут также появиться симптомы ригидности затылочных мышц, что выражается в неожиданных мышечных спазмах, приводящих к самопроизвольному подергиванию головой. Кроме того, в этом случае страдают передние конечности. Кошка приобретает привычку очень низко держать голову, изредка развивается тетраплегия.
У кота с дегенерацией межпозвоночных дисков и образованием грыжи пояснично-грудного или поясничного отдела позвоночника, помимо всех вышеперечисленных симптомов, постоянно выгнута спина, как если бы он осуществлял дефекацию. Слабость в задних конечностях зачастую проявляется с первых дней патологии, постепенно или внезапно прогрессируя до полного паралича задней части тела. Но еще быстрее кошка начнет непроизвольно мочиться и осуществлять дефекацию, так как ее спинномозговые центры уже не смогут контролировать эти процессы.
В наиболее запущенных (и практически безнадежных) случаях у животного пропадает тактильная чувствительность вниз от пораженного места: так, в лапы можно спокойно втыкать иголку на всю длину, но кот ничего не почувствует.
Терапевтические методики
При появлении любого из вышеописанных симптомов нужно немедленно показать вашего питомца ветеринарному специалисту. Больному коту нужно предоставить полный покой, особенно тщательно его изолируют от маленьких детей. Не нужно играть и дразнить кошку, так как любое резкое движение чревато внезапным параличом. На первых порах, если симптоматика не слишком угрожающая, практикуется медикаментозное лечение, цель которого заключается в купировании воспалительного процесса. Но в большинстве случаев так удается лишь сгладить основные признаки. О полном излечении без хирургического вмешательства говорить не приходится.
Очень желательно назначать заболевшему питомцу седативные препараты, которые естественным образом ограничат активность животного и исключат вероятность его резких движений. Медикаментозное подавление боли рекомендуется только для тех кошек, которые чувствуют боль и сохраняют тактильные ощущения. В иных случаях назначать обезболивающие препараты не рекомендуется, так как они могут смазать картину течения болезни.
В ветеринарной практике было немало случаев, когда коты, после четырех-шести недель полного покоя, лечившиеся нестероидными противовоспалительными препаратами, полностью восстанавливались. Однако немало при этом бывает и рецидивов, особенно в случае животных, уже достигших возраста пяти или семи лет.
Если на всем протяжении медикаментозного лечения существенных улучшений не наблюдается, или вообще отмечается выраженная тенденция к ухудшению течения болезни, настоятельно рекомендуется проведение хирургической операции. Чем скорее это будет сделано, тем больше шансов на полное выздоровление животного.
В чем вообще заключается суть хирургического вмешательства при этой патологии? В большинстве случаев используется так называемая «хирургическая декомпрессия». Это метод, при котором «вывалившуюся» часть спинного диска частично иссекают, восстанавливая внешнюю оболочку органа. Декомпрессия – единственный действенный способ лечения, когда наблюдается паралич или пара/тетраплегия.
Важно! Если у кота внезапно пропала тактильная чувствительность, операция в идеале должна быть проведена в течение двух часов, так как по истечение этого срока нервные ткани спинного мозга начинают отмирать. Когда с момента потери чувствительности прошло более двух суток, рекомендуется усыпление, так как шанс на успех операции – менее 4%.
Источник






